HPのTOPページへ戻る

平成30年5月定例勉強会

 縄文・弥生時代の上の山遺跡
 小林 義孝氏(大阪府教育庁文化財保護課)

青年の家・学びの館 午前10時~12時
 27名(会員23名)の参加
2018.5.26(土)午前10時、5月定例勉強会に27名が参加されました。

  高尾部長の司会・挨拶で始まり、講師の小林義孝氏より「縄文・弥生時代の上の山遺跡」をテーマで、第二京阪道路に交差する府道の予定地付近の発掘調査結果について詳しく解説いただきました。

  (講演会の概要)

   「縄文・弥生時代の上の山遺跡」

    1.ウッドサークル?縄文時代の遺跡と遺物
    2.巨大な方形周溝墓ー弥生時代の遺構と遺物ー

 ※ 今回、HPに掲載するにあたり、講師の小林先生のご厚意により
    当日配布された「レジメ」及び史料集などを参考にさせていただきました。
    記して感謝申し上げます。
      参考文献:
    『上の山遺跡Ⅱ』((財)大阪府文化財センター調査報告書第155集) 2007年
    『上の山遺跡Ⅲ』((財)大阪府文化財センター調査報告書第171集) 2008年
 7月14日(土)、交野歴史健康ウォークで、高尾秀司さんの案内で、「上の山遺跡周辺探訪」を
開催します
午前9時、交野市駅前西ロータリー集合です。
是非とも、沢山の方の参加をお待ちしています。


講師 小林 義孝氏(大阪府教育庁文化財保護課) 
 
 
 
講演会 レジメ 

交野古文化同好会勉強会  平成30年5月26日(土)
小林 義孝氏(大阪府教育庁文化財保護課)
 もう13年も前ですが、2005年に(財)大阪府文化財センターに出向し、2005・2006年の2年間にわたって上の山遺跡の発掘調査を担当しました。ホームセンター・コウナンの茄子作店のあたりです。第二京阪道路に交差する府道の予定地で、想像もしなかつた縄文時代と弥生時代の遺構が発見されました。
 この発掘調査を実施した場所は、いろいろ条件がわるく、現地説明会なども開催できず、広く市民のみなさんに見ていただくこともありませんでした。今回、このような機会をいただいて、交野のすばらしい歴史の一齣(こま)をしっていただくことは、たいへんうれしく思います。
ウッドサークル?― 縄文時代の遺構と遺物一

  〇調査地の北端(第1調査区)から縄文時代の土坑が約200基
    ⇒縄文時代後期(15000年前~2300年前)
  ○土坑の中に土器を据えた埋甕遺構
    ⇒縄文時代の墓
  ○土坑三つの大きさのもの
    ①30 cm前後 ②直径50~ 70cm ③直径lm前後
    ⇒柱の痕跡が多数確認
  ○南端の遺構密度の低い地点、段丘の縁辺でかなり削られている .
    ⇒4基の上坑が2mほどの間隔を保って円弧を描いて配置
      → 1基には明確な柱の痕跡
    ⇒ウッドサークル(環状木柱列)?
    ⇒遺構が密集している地点でも円弧を描いて土坑が分布
ウッドサークルとは

 円を描くように巨木柱を配置した縄文時代の祭祀施設らしい遺構。1980年に金沢市新保本町のチカモリ遺跡で判明した約3000~ 4000年前(縄文時代後期)のクリ材(直径50~ 85cm)による直径7mの遺構を始め、富山県小矢部市の桜町遺跡で2000年末に確認された約2700年前(同晩期)のクリ材(直径30~ 60cm)lo本を使った直径約6五の遺構など全国で十数例見つかっている。
 滋賀県東近江市の正楽寺遺跡(94年)では内部に大型たき火跡があって建物説が否定され、真脇(まわき)遺跡の半分に割つたクリ材の使用(84年)が判明―しており、多様性もありそうだという。

   (天野幸弘朝日新聞記者/:今井邦彦朝日新聞記者/2007年)
 記念物 史跡:チカモリ遺跡
【所在地】金沢市新保本5-47
【国指定史跡】昭和62年2月23日指定
【指定面積】4,456.17平米

 金沢市西南部にある縄文時代後期〜晩期の集落遺跡です。昭和55年に行われた発掘調査では、349点の木柱根が発掘されました。なかでも環状木柱列(かんじょうもくちゅうれつ)は、直径約60〜90センチメートルのクリの巨木を縦に半分に割り、切断面を外側に向けて直径約7メートルの円形に立て並べたもので、全国ではじめて発見されました。この環状木柱列の用途・機能については様々な意見があり、現在でも明らかになっていません。
遺跡の中心部は「チカモリ遺跡公園」として整備され、環状木柱列などが復元されています。

 遺跡公園に隣接する「金沢市埋蔵文化財収蔵庫」には、チカモリ遺跡をはじめとして、市内の遺跡から出土した遺物を時代別に展示してあります。そのうち、チカモリ遺跡出土の柱根57点については、石川県指定文化財に指定されています。







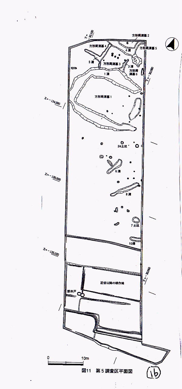
巨大な方形周溝墓一弥生時代の遺構と遺物ー

○方形周溝墓1 →第5調査区で検出
 ⇒長辺16m、短辺Hm前後の規模をもつ大型
  →周囲の小型の方形周溝墓
 ⇒弥生時代第II期(中期のはじめ)
  →この時期の方形周溝墓としては畿内地域では最大規模

○大型建物との関係
  ⇒独立棟持柱をもう大型掘立柱建物 →第二京阪建設地の調査区
  ⇒集落の中心的施設
  ⇒梁間1間:(約4.5m)、桁行5間(約8.6m)、床面積39ピ
 □大型の建物と大型の墓


参考文献
『上の山遺跡Ⅱ』((財)大阪府文化財センター調査報告書第155集) 2007年
『上の山遺跡Ⅲ』((財)大阪府文化財センター調査報告書第171集) 2008年
 方形周溝墓







 
 
 
 
 
 
 
 
 
 
 
 
 
 
 
 
 
 
 
 
 
 

最後までご覧いただきまして有難うございます。

交野古文化同好会のTOPへ

HPのTOPページへ戻る