|
ホームページに戻る |
|
| 日時 : 2012年9月8日(土)午前10時 いきいきランド・交野ドーム集合 参加者 32名(内会員23名) 行程 : 交野ドーム → 第二京阪国道の側道・私部南遺跡 → 天の川 → ホームセンターコーナン・上の山遺跡 周辺 12時解散 約 2.5km徒歩 案内人 : 高尾秀司氏 (交野古文化同好会) |
|
| 9/8(土)、天候曇り。いきいきランド広場に集合、午前10時出発。 中会長の挨拶の後、古文化同好会40周年記念・ふるさと交野を歩くの第4弾・第二京阪国道の側道を交野ドームから枚方市の茄子作・ホームセンター・コーナン付近の上の山遺跡周辺まで、高尾秀司さんの側道周辺の遺跡の解説を聞きながらゆっくりと歩いてきました。本日の参加者は元気な総勢32名の皆さんでした。 雨が降るかもしれないという予報は見事にはずれ、昼までまずまずのウォーク日和であった。皆さんお疲れさまでした。 ※当日の案内資料・高尾氏が撮影された貴重な写真集など、高尾氏の好意で提供頂きました。 記して謝意を申しあげます。 |
|
![]() |
|
![]() 中会長の挨拶 |
|
![]() 本日の案内人:高尾さんの行程などの説明 |
|

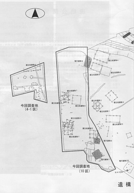
| 私部南遺跡はいきいきランド交野から、京阪電車交野線にかけての非常に広い範囲に埋もれています。 これまでの発掘調査で、現在では平坦に見えるこの地域に、南東から北西方向に広がる3か所の谷地形があったことが、地層の堆積の様子から明らかになりました。 さらに、旧石器時代から近世にかけて石器や土器などの生活用具類が豊富に見つかり、ここで暮らした人々の住まいや井戸、水路の跡なども出てきました。 |
|||||||||||||||||||||||||||
| 遺跡の東部分、いきいきランド付近では竈をもった古墳時代中期の方形竪穴住居や掘立柱建物のほか、弥生時代後期のシガラミ(水路を調整する堰)、石包丁、同時期の水田が見つかるなど、すでに稲作が行われていたことが考えられます。 シガラミの埋まっていた砂の中から「いのしし」を模したと思われる小さな土製品が見つかり、いのししが子沢山であることから子孫繁栄や豊穣のお祭りに使われたかも知れません。 |
|||||||||||||||||||||||||||
![]() 私部南遺跡・ドーム側の解説される高尾さん |
|||||||||||||||||||||||||||
![]() |
|||||||||||||||||||||||||||
![]() |
|||||||||||||||||||||||||||
![]() 後方に見えるのは交野山 |
|||||||||||||||||||||||||||
![]() |
|||||||||||||||||||||||||||
![]() |
![]() |
||||||||||||||||||||||||||
| 2世紀ごろ、いきいきランド交野北西側の向井田地区付近に、シガラミが数か所築かれていました。 シガラミとは、たくさんの木の杭を打って水をせき止めて水量を調節し、田に水を導くために設けられた堰のことで、このころ、周辺に本格的なかんがい用水路と水田が広がっていたと推測されます。 なお、水路際から、いのししを模したと思われる小さな土人形も見つかりました。何に使われたのかは不明ですが、生産の基本となる水路近くから出てきたことから、いのししが子だくさんなことにあやかって、秋の豊かな実りや、人の暮らしが栄えることを託して置かれたものかもしれません。 |
|||||||||||||||||||||||||||
![]() シガラミ(水路を調整する堰) |
|||||||||||||||||||||||||||
![]() |
|||||||||||||||||||||||||||
![]() 縄文土器 深鉢 突帯文土器 |
|||||||||||||||||||||||||||
|
|||||||||||||||||||||||||||
|
|||||||||||||||||||||||||||
|
|||||||||||||||||||||||||||
![]() |
![]() |
||||||||||||||||||||||||||
![]() 石棒 弥生土器・壺 石包丁 |
|||||||||||||||||||||||||||
| 槃若寺の南側からは、縄文時代の鉢、弥生時代前期の竪穴住居、住居の中から壺、甕、鉢など弥生土器が出土しました。サヌカイトを用いて製作された石鏃や石錐などの石製品も出土しています。 | |||||||||||||||||||||||||||
| 2009.5.16 現地説明会当時の様子 | |||||||||||||||||||||||||||
![]() 槃若寺周辺 |
|||||||||||||||||||||||||||
![]() 橋脚の向こうに見えるのは、槃若寺 |
|||||||||||||||||||||||||||
![]() |
|||||||||||||||||||||||||||
![]() |
|||||||||||||||||||||||||||
![]() |
|||||||||||||||||||||||||||
把手付平底土器と甕
|
|||||||||||||||||||||||||||
| 京阪電車の線路側では、弥生時代の大型円形竪穴住居、古墳時代中期の掘立柱建物や竪穴住居、飛鳥時代から奈良時代の掘立柱建物、奈良時代の硯が見つかったことから、文字を必要とする人々がいたことも考えられます。 | |||||||||||||||||||||||||||
![]() |
|||||||||||||||||||||||||||
![]() |
|||||||||||||||||||||||||||
![]() |
|||||||||||||||||||||||||||
| 2007.10.6 現地説明会当時の様子 | |||||||||||||||||||||||||||
| 京阪電鉄交野線のすぐ東側で古墳時代・飛鳥時代の集落に重なるように、奈良時代の建物跡が見つかっています。 建物の構造は、飛鳥時代と同様の掘立柱建物と呼ばれるものですが、飛鳥時代と異なるのは、建物の向きがほぼ東西南北方向を示すことです。建物の向きとは建物の主軸、つまり棟の通りが東西南北に向くことです。 奈良時代の建物跡の写真を見ると、建物の柱が立っていた穴の縁を白い線でなぞっています。その白い輪っかの列を、写真の左上の方位と比べてみると、白い輪っかが東西南北に並んでいるのが分かると思います。 これは奈良時代になると水田の区画に現れるように、条里地割りという土地の区画利用が定められ、これによって建物の方向も規制されるためです。 また、建物跡の周辺からは、円面硯と呼ばれる硯が2点見つかっています。 右下の写真は柱穴の中から見つかった硯で、直径約16・と奈良時代の硯としては大きいものです。脚の部分は、失われています。左側の写真の硯は、墨をする陸部が高く盛り上がっているのが特徴です。 また猿面硯と呼ばれる現在の硯の原型になる硯も見つかっています。 このほかに、腰帯具という官人が腰に巻くベルトのようなもの(右下の図)の一部である、巡方という金属製の部品も出土しています。 このことから、文字を使う官人が住んでいた可能性が考えられます。 |
|||||||||||||||||||||||||||
![]() 大型の竪穴住居跡 |
|||||||||||||||||||||||||||
![]() 奈良時代の建物跡 |
![]() 円面硯 |
||||||||||||||||||||||||||
![]() 硯 |
![]() ベルト |
||||||||||||||||||||||||||
![]() 腰帯具 |
|||||||||||||||||||||||||||
![]() |
|||||||||||||||||||||||||||
![]() 最近、官田付近は住宅地開発が進みつつあります。 手前の私市道の向うの奥付近 |
|||||||||||||||||||||||||||
![]() |
|||||||||||||||||||||||||||
![]() |
|||||||||||||||||||||||||||
![]() |
|||||||||||||||||||||||||||
![]() 貯水池 |
|||||||||||||||||||||||||||
![]() |
|||||||||||||||||||||||||||
![]() 私部西2丁目南交差点 |
|||||||||||||||||||||||||||
![]() 168号線との交差点 |
|||||||||||||||||||||||||||
![]() 第二京阪国道・天野川橋付近で記念撮影 |
|||||||||||||||||||||||||||
![]() |
|||||||||||||||||||||||||||
![]() |
|||||||||||||||||||||||||||
![]() |
|||||||||||||||||||||||||||
![]() |
|||||||||||||||||||||||||||
![]() |
|||||||||||||||||||||||||||
![]() 天野川橋上の織姫のイラスト |
|||||||||||||||||||||||||||
![]() |
|||||||||||||||||||||||||||
![]() |
|||||||||||||||||||||||||||
![]() |
|||||||||||||||||||||||||||
![]() |
|||||||||||||||||||||||||||
![]() |
|||||||||||||||||||||||||||
![]() |
|||||||||||||||||||||||||||
![]() |
|||||||||||||||||||||||||||
|
|||||||||||||||||||||||||||
![]() |
|||||||||||||||||||||||||||
![]() |
|||||||||||||||||||||||||||
| 国道168号線のバイパス(第二京阪国道への進入路)の建設に先立ち大阪府文化財センターにより発掘調査された所です。 この第一調査区からは約200基を数える土抗・ピットなどをはじめとして、溝や竪穴住居跡などが検出された。これらの遺構は縄文時代を中心とし、幾つかの弥生時代とそれ以降に帰属するものであります。 「埋甕遺構」 明確に縄文土器が据わった状態で3基の埋甕遺構(深鉢)が検出されました。ほかに縄文土器の破片892点(中期、後期)、弥生土器として壺、鉢、石器などが出土しました。 |
|||||||||||||||||||||||||||
![]() |
|||||||||||||||||||||||||||
上記2点の写真は、大阪府文化財センターより参照させて頂きました。 |
|||||||||||||||||||||||||||
|
次回は、第124回歴史ウォーク、10月13日(土)、ふるさと交野を歩くパートX「私市の史跡と地蔵めぐり」、集合は、京阪・河内森駅 10時です。 お一人でも多くの皆さんの参加をお待ちしております。 |
|
| 最後までご覧いただき有難うございました |